Free account required
3
Free account required
$600,000 Sale
Listed 0 hours ago
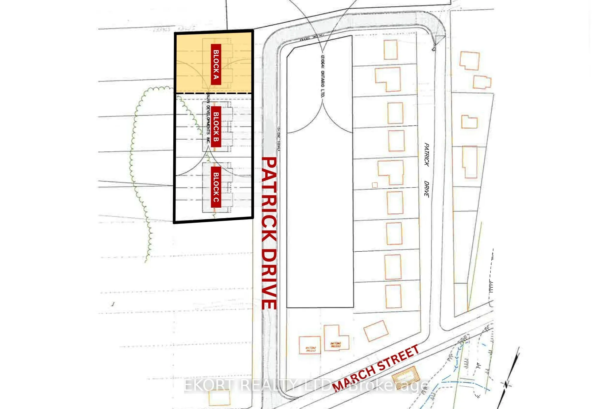
0 Patrick Drive, #A
· 0
· 0
· -
· -
Listing History
Buy/Sell/Terminated/Expired listing history for 0 Patrick Drive, #A
Key Facts
Key facts for 0 Patrick Drive, #A
Property Type
Lots/Land
Parking
-
MLS #
X12443634
Size
-
Basement
-
Listed on
2025-10-03
Lot size
119 x 152.0
Tax
$367.57 /yr
Days on Market
0
Approximate Age
-
Maintenance Fee
-
Description
An exceptional development opportunity in a growing community! This 0.42-acre townhouse development block offers a proposed plan for a 4-plex townhouse, making it an ideal investment for builders or developers. Known as Block A, the site features 119 feet of frontage and 153 feet of depth, providing... ample space for an efficient layout. The property has been recently rezoned to R3-23, allowing for townhouse development and expanding the range of permitted uses. In addition to Block A, there are two other available blocks, bringing the total potential acreage to 1.3 acres across all three parcels. With zoning approvals already in place, this property is ready for the next stage of planning and design.
Similar Properties (No results)
Courtesy of: EKORT REALTY LTD.